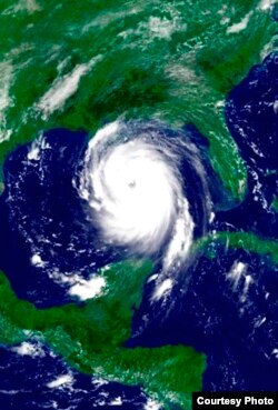
Hallarme en el ojo de un huracán y tener noticia de la velocidad de sus vientos y de lo que éstos arrastran pero no sentir zozobra, porque a medida que éste se desplaza me desplazo con él, seguro de que la calma típica de está zona del meteoro no será interrumpida por las ráfagas que me preceden y suceden; seguro de que su movimiento de traslación se ha acompasado al mío o el mío al suyo, fraternos.
Hallarme en el ojo de un huracán, escuchar el murmullo de las cosas que vuelan a mi alrededor y entrever lo que vuela, sólo entreverlo, porque el diámetro de estos vórtices puede exceder el medio centenar de kilómetros y yo, cauteloso, paso por eje, seguro de que al llegar a la costa el huracán se desvanecerá, su ojo abarcará el mundo y los vientos no serán sino aquéllos, incapaces de despeinar a un hombre, que produce la Tierra en su rotación.
Hallarme en el ojo de un huracán y descubrir que lo que yo creí ventolera es tiempo, tiempo desdoblado en páginas, y que esas páginas son las de un libro en cuya lectura me recreo, un libro de poesía titulado "Huellas" donde Juan Malpartida (Marbella, Málaga, 1956), poeta, ensayista, narrador, crítico y actual director de la revista Cuadernos Hispanoamericanos, reúne una amplia selección de su obra en verso y da cuenta magnífica de sus obsesiones, yendo y viniendo de lo personal a lo universal, del hallazgo metafórico a la reflexión memorable; poesía y pensamiento, pensamiento y poesía machihembrados, amplificándose mutuamente, retroalimentándose el uno al otro y reconociendo en la naturaleza recóndita del tiempo, el norte que desvela al autor y que los imanta a ellos.
Todo es algo que está ocurriendo / no se sabe dónde, dice Malpartida, pero no es cierto: todo está ocurriendo en su poesía, y dando vueltas, fiel al título del primero de los libros antologados: "Espiral". El mar, los animales, las plantas, las piedras, el niño que el autor fue y que hoy le contempla desde el fondo de un pozo, la compañera perdida y la que aún aguarda, el paisaje urbano y la intemperie costera, la maravilla de los hijos y la soledad, la vocación para la escritura y la pasión por la lectura, el fantasma de la historia y la curiosidad por la prehistoria (Hay días en que recuerdo / la vida del paleolítico), la familiaridad con la muerte y la apuesta por la vida, todos pueblan estas páginas tomadas por la corriente aérea del tiempo, responsable de que el lector regrese de ellas como del ojo de un huracán cuyos vientos circulan en cámara lenta.
He leído "Huellas" lápiz en mano, haciendo marcas junto a todo aquello que me entusiasmaba, y me he encontrado incapaz de escoger entre tanto verso hermoso un puñado que me exima de citar otros sin la certidumbre de que soy injusto.
Los días del tiempo, apunte autobiográfico y reflexión en prosa que sirve de epílogo al conjunto, muestra a Malpartida en su mejor forma, hurgando, lúcido, en la trama del fenómeno poético y de su propio quehacer, barajando ideas e intuiciones con un lenguaje espléndidamente trabado y estibado, y reconociendo algo que se me había hecho evidente -al punto de animarme a tomar nota de ello- a medida que leía sus versos: la recurrencia de una forma a la que él mismo se refiere como emblema de buena parte de su escritura:
Siempre me gustó la forma espiral, los caracoles y caracolas, los husos y caparazones de otros moluscos marinos que de niño coleccionaba y contemplaba. Curiosamente, la estructura del ADN también es helicoidal (...)
Malpartida abunda en la ubicuidad de esta figura que dio título a su primer libro, en las posibles razones de su predilección, y hay que volver a algunas páginas donde se la menciona o insinúa; páginas que pueden haber contribuido a que mi lectura tuviera algo de estancia en el ojo de un fenómeno atmosférico cuyas rachas inofensivas mezclan, a partes iguales, sed de conocimiento y sed de hermosura.
El movimiento giratorio del viento aciclonado, unido al ascencional del aire, advierte Fernando Ortiz en su libro "El huracán, su mitología y sus símbolos", da la idea de la espiral. Malpartida habla del desplazamiento continuo / de la memoria en la espiral del tiempo; de un pensamiento que no es sino un montón de hierbas / dando vueltas por el patio; de una infancia de concéntricos pasillos; de las raíces aéreas del lenguaje y un sitio donde giran los cuerpos en la noche; del circular presente y de una palabra que gira sobre sí misma; de los fatigados remolinos / vueltos quietud; del rumor circular de unos pasos y el circular propósito del mundo; de la fuerza universal / que envuelve y penetra la rotación / de los seres y del manojo de preguntas y respuestas que somos creciendo en espiral sobre la nada, vorágines todas que el lector, absorto, presiente habitar:
No pasa el tiempo,
y los recuerdos giran
sobre mis huesos.
El título de un poema posterior al primero de sus libros insiste en la forma: Espirales, y otros títulos la ensayan: Otra vuelta de tiempo, El círculo del agua, Hélice... El inventario no es exhaustivo.
La espiral, niña de los ojos de Juan Malpartida, malacólogo desmesurado, abarca la bóveda celeste para que el viento sople dentro de ella a la caída del sol y la música lo invada todo:
El viento suena,
caracol de papel
la tarde entera.
El material del que está hecha esa hora del día es el mismo del que están hechos los libros, y los libros no son sino fajos de tiempo, material del que están hechas las horas.
Juan Malpartida ve el mundo desde la base de la espiral que ahorma la tarde; el lector, desde la base de la espiral que ahorma "Huellas", mapa de huracanes, cónclave de giraldas, observatorio íntimo:
Gira la hora, el día, el año, el tiempo hace círculos o tal vez yo doy vueltas.